Step 1: Identify the alert
- Recommended website: www.guideline.gov. Here you will find a number of guides to help you create the alerts that best suit your practice.
 
2nd Step: Create the alert
For this example, we select the guide called:
Screening for cervical Cancer
(http://www.guideline.gov/content.aspx?id=38572)
Option #1
- Go to the Advanced Progress Note screen.
 - Once the patient is selected, press the QuickLinks text, located at the top of the screen.

 
- Select the Settings Clinical Decision Support option.

 
- Press the Add button, located at the top of the screen. 

 
- The following screen will be displayed: 

 
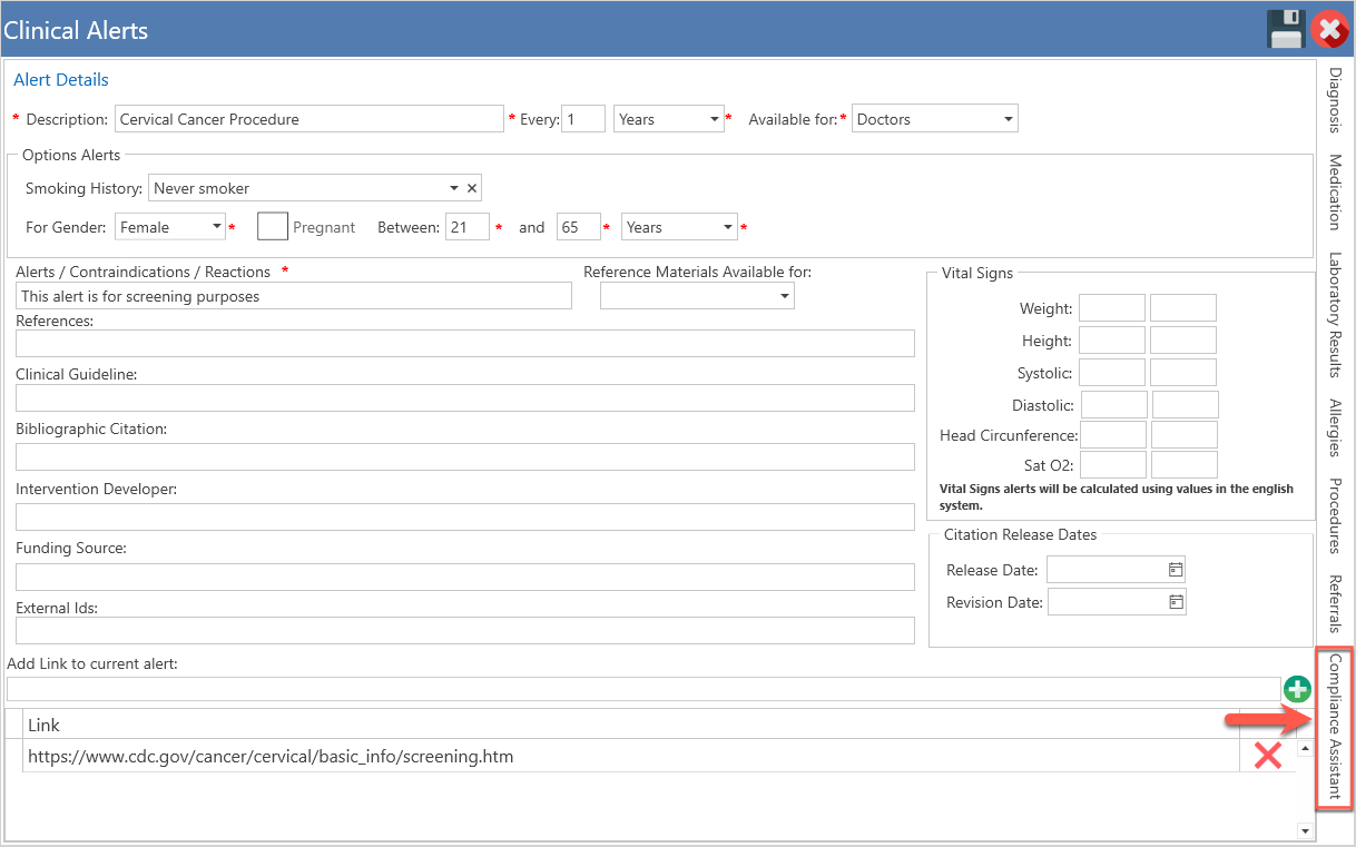
- Write the description of the alert.

 
- Select the frequency with which you want the alert to be displayed.

 
- Select for the group you want the alert to be displayed. 

 
- Select the patient's smoking history.

 
- Select the gender and ages of the alert. For this alert, it will apply to female patients, ages 21 to 65.

 
Type the alert, counter indication or, the reaction to be displayed in the alert.

- If you are creating the alert based on a guideline, fill in the following fields, Referenced, Clinical Guideline, Biographic Citation, Intervention Developer and Funding Resources and the link. You will find this information in the selected guideline.

 
- If you want to add a link, related to the alert, add it in the Add Link to current alert section and then, press the Add button. You will go to the Link section. 

 
Diagnosis
- If you wish to add any diagnosis related to this alert, click on the Diagnosis tab, located on the right side of the screen. 

 
- The following section will be displayed:

 
- To add a diagnosis by category, select the By Category option.

 
- Then, press the Add button. 

 
- The following screen will be displayed:

 
- After selecting the category, press the Add button, located on the right side.

 
- Then press the Ok button, located at the bottom of the screen.

 
Automatically, the diagnostic category to the alert will be displayed.

To add a diagnosis by range, select the By Range option.

Then press the Add button.

The following screen will be displayed:

- Select the diagnostic range, which you want to add to the alert.

 
- Once selected, press the Ok button, located at the bottom of the screen. 

 
- Automatically, the diagnostic range will be displayed in the alert. 

 
- To add a specific diagnosis, select the Specific option.

 
- Then, press the Add button. 

 
- The following screen will be displayed:

 
- Select the specific diagnosis you wish to add and then press the Save button located at the top of the screen. 

 
- Automatically, the specific diagnosis will be displayed in the alert.
 
Medication
- If you wish to add any medication related to this alert, click on the Medication tab, located on the right side of the screen. 

 
- The following section will be displayed:

 
- To add a drug by category, press the By Category button.

 
- Then, press the Add button. 

 
- The following screen will be displayed:

 
- Select the drug category and then press the Add button. 

 
- Once selected, press the Ok button, located at the bottom of the screen.

 
- Automatically, it will be displayed in the Medication section.
 - To add medication classes, select the By Class option.

 
- Then, press the Add button. 

 
- The following screen will be displayed: 

 
- Select the drug class, which you want to add and then, press the Add button.

 
- Once selected, press the Ok button, located at the bottom of the screen. 

 
- You will automatically be taken to the Medication section.
 - To add a specific medication, select the Specific option.

 
- Then, press the Add button. 

 
- The following screen will be displayed: 

 
- Search for the specific drug you wish to add. Once selected, press the Save button located at the top of the screen. 

 
- Automatically, the medication will be displayed in the Medication section.

 
Laboratory Results
- If you wish to add any laboratory results, click on the Laboratory Results tab, located on the right side of the screen. 

 
- The following section will be displayed: 

 
- Press the Add Test button to add a laboratory to the alert. 

 
- Press the Add Test button to add a laboratory to the alert. 

 
- Select the laboratory you wish to add to the alert. Once selected, it will be displayed in the Laboratory Results section to record the laboratory results. 

 
Allergies
- If you wish to add an allergy to the clinical alert, click on the Allergies tab, located on the right side of the screen.

 
- The following screen will be displayed:

 
- To add an allergic substance, press the Add Allergy Substance button.

 
- The following screen will be displayed: 

 
- Select the substance and then press the Add Selected Items button located at the top of the screen. 

 
- Once selected, press the Ok button, located at the bottom of the screen: 

 
- Automatically, the substance will be displayed in the Allergies section.
 - If you wish to add an allergy for a specific drug, click on the Add Specific Drug button.

 
- The following screen will be displayed: 

 
- Search for the specific drug. Once selected, press the Save button located at the top of the screen. 

 
- Automatically, it will be displayed in the Allergies section.
 - To add allergy categories, press the Add Allergy Types button.

 
- The following screen will be displayed: 

 
- Select the categories and then press the Add button. 

 
- Once selected, press the Ok button, located at the bottom of the screen. 

 
- You will automatically be taken to the Allergies section.
 - To add an allergy, which does not contain a code, type it in the Add uncoded allergy field.

 
- Then, press the Add button. 

 
- It will automatically be displayed in the Allergies section.
 
Procedures
- If you wish to add procedures to the clinical alert, click on the Procedures tab, located on the right side of the screen. 

 
- The following section will be displayed: 

 
- To add procedures by category to the clinical alert, select the By Category option. 

 
- Then, press the Add button. 

 
- The following screen will be displayed:

 
- Select the description and procedure, then press the Add button.

 
- If you want to add a link related to the allergy, search for it and click on the Ok button.

 
- Automatically, it will be displayed in the Procedures section.
 - To add procedures by range to the clinical alert, select the By Range option.

 
- Then, press the Add button.

 
- The following screen will be displayed:

 
- Select the procedure range you wish to add. Then, press the Ok button, located at the bottom of the screen.

 
- Automatically, it will be displayed in the Procedures section.
 - To add a specific procedure, select the Specific option.

 
- Then, press the Add button. 

 
- The following screen will be displayed:

 
- Select the procedure you wish to add to the clinical alert and then press the Save button located at the top of the screen.

 
- It will automatically be displayed in the Procedures section.
 
Referrals
- If you wish to add referrals to the clinical alert, click on the Referrals tab, located on the right side of the screen.

 
- The following section will be displayed: 

 
- Select the specialty of the referral you wish to add to the clinical alert. Then press the Add button.

 
- It will automatically be displayed in the Referrals section.
 
Compliance Assistant
- If you wish to add Order Sets to the clinical alert, click on the Compliance Assistant tab.

 
- The following section will be displayed:

 
- Select the Order Set you wish to add and then press the Apply button. 

 
- Automatically, the sections will be populated according to the selected Order Set configuration.
 - Once you have completed setting up the patient's clinical alert, press the Save button located at the top of the screen.
 
Option #2
- Go to the Advanced Progress Note screen.
 - Press the Custom Alerts button, located in the Side Bar section.
 - Or, press the Search button, located at the top left of the screen and select the Custom Alerts option.
 - The following screen will be displayed:

 
- Press the Add button, located at the top of the screen. 

 
- The following screen will be displayed: 

 
- Write the description of the alert.

 
- Select the frequency with which you want the alert to be displayed.

 
- Select for the group you want the alert to be displayed. 

 
- Select the patient's smoking history.

 
- Select the gender and ages of the alert. For this alert, it will apply to female patients, ages 21 to 65.

 
Type the alert, counter indication or, the reaction to be displayed in the alert.

- If you are creating the alert based on a guideline, fill in the following fields, Referenced, Clinical Guideline, Biographic Citation, Intervention Developer and Funding Resources and the link. You will find this information in the selected guideline.

 
- If you want to add a link, related to the alert, add it in the Add Link to current alert section and then, press the Add button. You will go to the Link section. 

 
Diagnosis
- If you wish to add any diagnosis related to this alert, click on the Diagnosis tab, located on the right side of the screen. 

 
- The following section will be displayed:

 
- To add a diagnosis by category, select the By Category option.

 
- Then, press the Add button. 

 
- The following screen will be displayed:

 
- After selecting the category, press the Add button, located on the right side.

 
- Then press the “Ok” button, located at the bottom of the screen.

 
Automatically, the diagnostic category to the alert will be displayed.

To add a diagnosis by range, select the By Range option.

Then press the Add button.

The following screen will be displayed:

- Select the diagnostic range, which you want to add to the alert.

 
- Once selected, press the Ok button, located at the bottom of the screen. 

 
- Automatically, the diagnostic range will be displayed in the alert. 

 
- To add a specific diagnosis, select the Specific option.

 
- Then, press the Add button. 

 
- The following screen will be displayed:

 
- Select the specific diagnosis you wish to add and then press the Save button located at the top of the screen. 

 
- Automatically, the specific diagnosis will be displayed in the alert.
 
Medication
- If you wish to add any medication related to this alert, click on the Medication tab, located on the right side of the screen. 

 
- The following section will be displayed:

 
- To add a drug by category, press the By Category button.

 
- Then, press the Add button. 

 
- The following screen will be displayed:

 
- Select the drug category and then press the Add button. 

 
- Once selected, press the Ok button, located at the bottom of the screen.

 
- Automatically, it will be displayed in the Medication section.
 - To add medication classes, select the By Class option.

 
- Then, press the Add button. 

 
- The following screen will be displayed: 

 
- Select the drug class, which you want to add and then, press the Add button.

 
- Once selected, press the Ok button, located at the bottom of the screen. 

 
- You will automatically be taken to the Medication section.
 - To add a specific medication, select the Specific option.

 
- Then, press the Add button. 

 
- The following screen will be displayed: 

 
- Search for the specific drug you wish to add. Once selected, press the Save button located at the top of the screen. 

 
- Automatically, the medication will be displayed in the Medication section.

 
Laboratory Results
- If you wish to add any laboratory results, click on the Laboratory Results tab, located on the right side of the screen. 

 
- The following section will be displayed: 

 
- Press the Add Test button to add a laboratory to the alert. 

 
- Press the Add Test button to add a laboratory to the alert. 

 
- Select the laboratory you wish to add to the alert. Once selected, it will be displayed in the Laboratory Results section to record the laboratory results. 

 
Allergies
- If you wish to add an allergy to the clinical alert, click on the Allergies tab, located on the right side of the screen.

 
- The following screen will be displayed:

 
- To add an allergic substance, press the Add Allergy Substance button.

 
- The following screen will be displayed: 

 
- Select the substance and then press the Add Selected Items button located at the top of the screen. 

 
- Once selected, press the Ok button, located at the bottom of the screen: 

 
- Automatically, the substance will be displayed in the Allergies section.
 - If you wish to add an allergy for a specific drug, click on the Add Specific Drug button.

 
- The following screen will be displayed: 

 
- Search for the specific drug. Once selected, press the Save button located at the top of the screen. 

 
- Automatically, it will be displayed in the Allergies section.
 - To add allergy categories, press the Add Allergy Types button.

 
- The following screen will be displayed: 

 
- Select the categories and then press the Add button. 

 
- Once selected, press the Ok button, located at the bottom of the screen. 

 
- You will automatically be taken to the Allergies section.
 - To add an allergy, which does not contain a code, type it in the Add uncoded allergy field.

 
- Then, press the Add button. 

 
- It will automatically be displayed in the Allergies section.
 
Procedures
- If you wish to add procedures to the clinical alert, click on the Procedures tab, located on the right side of the screen. 

 
- The following section will be displayed: 

 
- To add procedures by category to the clinical alert, select the By Category option. 

 
- Then, press the Add button. 

 
- The following screen will be displayed:

 
- Select the description and procedure, then press the Add button.

 
- If you want to add a link related to the allergy, search for it and click on the Ok button.

 
- Automatically, it will be displayed in the Procedures section.
 - To add procedures by range to the clinical alert, select the By Range option.

 
- Then, press the Add button.

 
- The following screen will be displayed:

 
- Select the procedure range you wish to add. Then, press the Ok button, located at the bottom of the screen.

 
- Automatically, it will be displayed in the Procedures section.
 - To add a specific procedure, select the Specific option.

 
- Then, press the Add button. 

 
- The following screen will be displayed:

 
- Select the procedure you wish to add to the clinical alert and then press the Save button located at the top of the screen.

 
- It will automatically be displayed in the Procedures section.
 
Referrals
- If you wish to add referrals to the clinical alert, click on the Referrals tab, located on the right side of the screen.

 
- The following section will be displayed: 

 
- Select the specialty of the referral you wish to add to the clinical alert. Then press the Add button.

 
- It will automatically be displayed in the Referrals section.

 
Compliance Assistant
- If you wish to add Order Sets to the clinical alert, click on the Compliance Assistant tab.

 
- The following section will be displayed:

 
- Select the Order Set you wish to add and then press the Apply button. 

 
- Automatically, the sections will be populated according to the selected Order Set configuration.

 
- Once you have completed setting up the patient's clinical alert, press the Save button located at the top of the screen. 

 
Recommended Article:
- Learn More About: Advanced Progress Note / Customs Alerts
 
